Merchants Plaza & Pickering Square Garage Improvements

Pickering Square - Bus Hub Concept

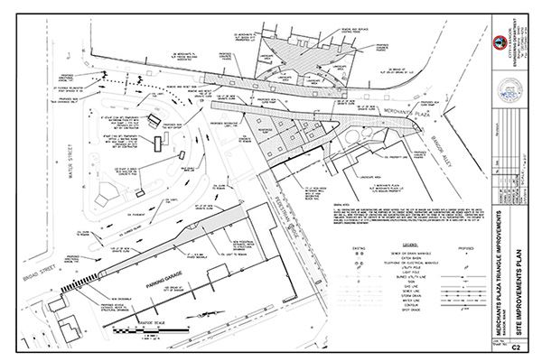
Related Documents

September 30, 2019

Last week, crews continued installing sidewalk and plaza pavers along the east side of Merchant's Plaza and installed the subbase and base gravels in the pocket park on the west side of Merchant's Plaza. Crews also installed base gravels in the new entrance ramp inside the parking garage and began installing new concrete islands in preparation for new ticketing and gate equipment.

Emera Maine replaced a large electrical vault in the sidewalk along Merchant's Plaza, which will allow the new sidewalk pavers to be placed.

Beginning the first week of October, crews will finish the pavers along the east side of Merchant's Plaza and will begin final preparations for new pavers and landscaping in the pocket park. Crews will also be paving the new ramp and entrance for the parking garage and will begin curb work on the exterior of the garage.

Curb Work

Garage

August 29, 2019

This week, crews installed curbing along Merchants Plaza, installed decorative fencing along the top of the new retaining wall, and finished prepping for the new sidewalk and plaza pavers. Crews also finished necessary structural repairs to the pile caps inside of the garage.

Pickering

Beginning the first week of September, crews will lay the sidewalk and plaza pavers in the Merchants Triangle and will begin initial demolition to the existing courtyard along Merchants Plaza.

Please note that as part of the improvements for this project, all parking along the east side of Merchants Plaza was removed to allow for safer pedestrian and vehicular traffic.

July 26, 2019

This week, crews began the landscaping improvements, installed a new storm drain and light bases, and began prepping for the new sidewalk pavers in the plaza. Work will continue for the next month, before moving across Merchant's Plaza to revitalize the courtyard.

Landscaping

July 12, 2019

This week Hughes Brothers continued to make progress on the Pickering Square and Merchants Plaza Alteration project. Crews continued prepping the garage for the new entrance/ramp and began installing a new storm drain line inside the garage. Next week crews will begin the reconstruction of Merchants Plaza and will begin constructing the new retaining wall adjacent to the existing pedestrian bridge.

Garage Entrance

June 24, 2019

Last week, Hughes Brothers continued to make progress on the Pickering Square and Merchants Plaza Alteration project. The temporary restrooms are in place and operational. With these in place, demolition of the old waiting area and bathroom facilities allowed for the next phase of the parking garage ramp construction.

Demolition

June 10, 2019

This week, Hughes Brothers worked Tuesday and Wednesday night to install sewer and water connections for the bathroom facilities. Crews also began installing electrical lines for the waiting areas and bathroom facilities. Work will continue next week to complete the bathroom facilities and waiting areas.

Merchants Plaza

May 31, 2019

This week, Hughes Brothers continued demolition and removed over 300 cubic yards of material from the garage area, while other crews constructed concrete pads for two bus shelters. Preparations for utility work scheduled for next Tuesday night, 6/4/19, took place for sewer and water installation for new bathroom facilities in the square.

Merchants Plaza

May 24, 2019

This week, Hughes Brothers continued demolition and removal of material from the lower level of the parking garage in preparation of the new vehicle entrance ramp. Crews also began relocating and removing interior utilities. We would like to thank the public for their patience while this area is being rehabilitated.

Merchants Plaza

May 17, 2019

The first week of the Merchants Plaza Triangle Improvements and Pickering Square Parking Garage Entrance Alterations project has been very productive. Hughes Brothers began demolition and removal of material from the lower level of the parking garage, which will be reconstructed for the new entrance on the Southwest corner of the site. Site layout also began for the installation of new utilities in Pickering Square to aid in a more convenient wait for commuters while waiting for transportation. We would like to thank the public for their patience while this area is being rehabilitated.

Merchants Plaza

May 10, 2019

Hughes Brothers will begin work at Pickering Square on Monday, May 13, 2019 for the start of the Merchants Plaza Triangle Improvements and Pickering Square Parking Garage Entrance Alterations Project. It is important to note that changes in the traffic pattern will be happening. The Southwest Entrance of the Parking Garage, located at Water Street and Broad Street, will be closed to traffic in order to mobilize the site. The Southeast corner entrance to the Parking Garage will be accessible for parking and reduced to local traffic only. Please use caution when traveling through the area, as construction vehicles will be entering and exiting the area. Sign boards will be in place to inform motorists of traffic changes. Please refer to the map below to identify the areas of impact during the construction of this project.

Aerial for Traffic Changes

On April 22, 2019, the Bangor City Council awarded Hughes Brothers, Inc. of Hampden, ME the $1.09M contract for the Merchants Plaza Triangle Improvements and Pickering Square Garage Entrance Alterations. The project will involve site, utility, and hardscape and landscape improvements to two public spaces off Merchants Plaza. The project also includes relocating the vehicle entrance to the Pickering Square Parking Garage. The new entrance will be located on the southern side of the garage, near the intersection of Water Street and Broad Street.

On Friday, April 26, 2019, a pre-construction meeting was held with the contractor to discuss project schedule, phasing, and completion date. Work is anticipated to start during the week of May 13, 2019, and the project is expected to be completed by August 30, 2019. With the relocation of the vehicle entrance, the existing bathroom and waiting room inside the parking garage will be temporarily relocated to Pickering Square.

Pickering Square Rendering

Merchants Plaza - Pickering Square Garage Improvements Plan Overview