Pickering Square Project

November 2025 Update

Summer 2025 construction season is coming to an end at Pickering Square. Over the summer, Street’s Landscaping, LLC (Street’s) worked to complete the red brick pavers with the blue paver spiral inlay throughout the park. XXL concrete pavers were completed in the patio the area located behind the granite seating blocks (located in area where two trees have been planted inside granite curbing borders). XXL concrete pavers were also installed the area where the proposed 9’ x 16’ trellis and 2 four-foot gliders are proposed. Additional improvements completed during summer 2025 include the installation of granite seating blocks, flag pole, trash receptacles, and a new bench. All proposed trees and shrubs have been planted. A new bike rack and bike repair station has been installed outside the pedestrian entrance of the Pickering Square Parking Garage. The realignment of the crosswalk from Pickering Square to the Freeze’s building was completed as well.

Construction is on pause at Pickering Square while Street’s waits for the arrival of the inground lighting. Due to a manufacturer defect, the inground lighting needed to be replaced. It is anticipated that the new lighting will arrive in the next few weeks. Depending on weather conditions, Street’s is hoping to get the inground lighting installed prior to December 31st.

Other outstanding items that have not been completed, due to the defective inground lighting, include the installation of four double sided kiosks, setting the XXL Plaza Pavers in the area around the inground lights.

The 9’ x 16’ trellis with 2 four-foot glider delivery has also been held up due to a manufacturer recall on the swing mechanism. The time frame for receiving the trellis and gliders is still not known at this time. Street’s is optimistic that the trellis and gliders will be shipped this winter, and will be installed as soon as conditions allow Spring 2026.

  1. 1 Benches
  2. 2 bike repair
  3. 3 Flag and trees recently installed in Pickering Square.
  4. 4 Flag Pole in front of the parking garage by Pickering Square
  5. 5 Pickering Sq Walkways
  6. 6 A view of the walkways and pavers at Pickering Square.
  7. 7 A view of the pavers and lighting elements at Pickering Square.

September 2025 Update

Street’s Landscaping LLC, has been working to wrap up the Pickering Square Improvements Project. The approximately 1-million-dollar project has been ongoing since Spring of 2024. It is estimated that the project will wrap up in Fall of 2025. 

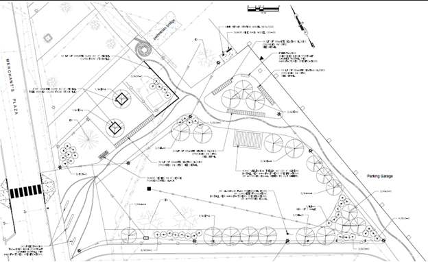
Improvements to Pickering Square include underground utility upgrades, new park area lighting as well as new inground lighting. Street’s is currently working to wrap up the new brick sidewalk installation. Once this is complete the contractor will be inlaying a blue brick spiral and swirl to create continuity between West Market Square and the Bangor Waterfront trails. Additionally, granite seating blocks, a bike rack, a bike repair station, and a trellis with two 4 ft. gliding slider swings will be installed. Decorative fencing has been installed to create separation from the Bus Station. Heavy landscaping will be installed to provide additional screening from the bus station. 

Inground lighting will be installed to direct pedestrians towards new kiosks located across the street from the old Freeze’s Building. These kiosks are intended to showcase local artists and businesses. The plan below shows the final landscaping/amenities for the site. 


  1. 1 Line drawing Pickering Square
  2. 2 Pickering SQ Aerial 1
  3. 3 Pickering Square Aerial 2